#sondakika

“Gizli fon” davasında mahkeme Seçil Erzan’a 102 yıl 2 ay hapis ve 753 bin TL para cezası verdi. Aynı dosyada yargılanan Hakan Ateş ve Mehmet Aydoğdu beraat etti. Davanın detayları haberimizde. SON DAKİKA — Seçil Erzan davasında karar açıklandı.İstanbul’da görülen ve kamuoyunun uzun süredir yakından takip ettiği “yüksek kârlı gizli...
01.12.2025
0
15
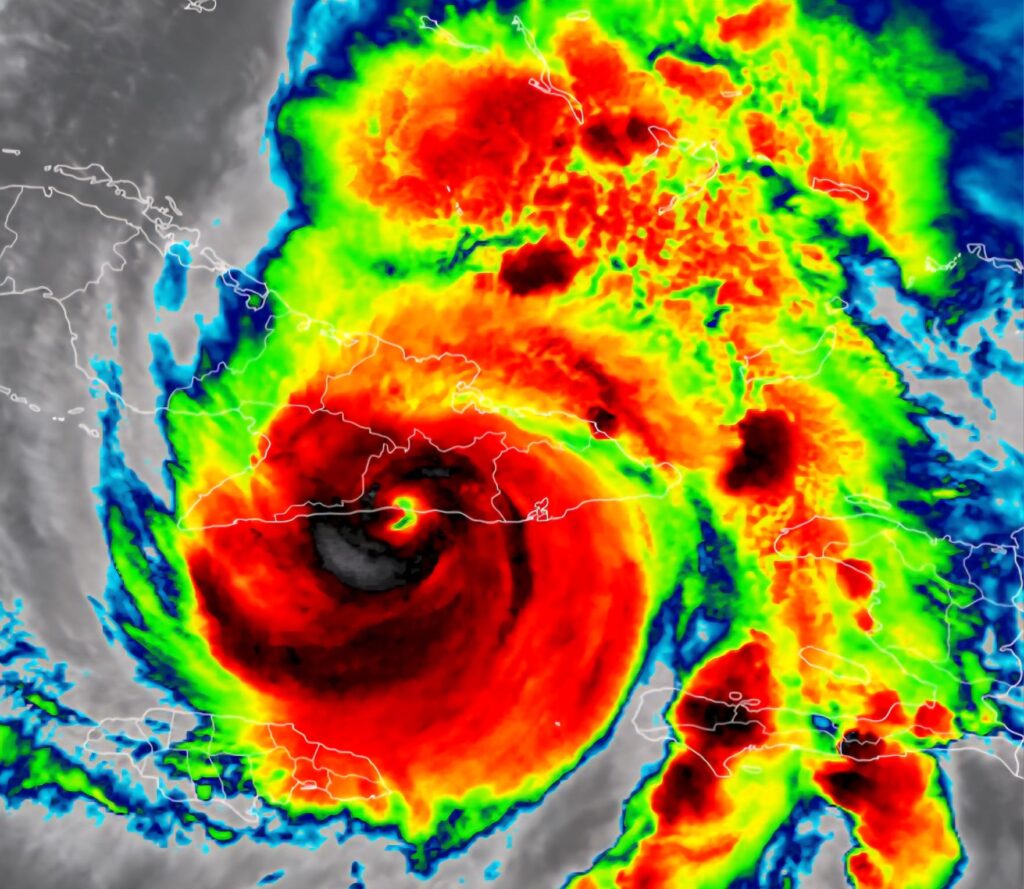
Kategori 5 seviyesine ulaşan Kasırga Melissa, Küba’nın güneydoğusuna ilerliyor. 8 ila 12 fitlik dev dalgalar, şiddetli yağış ve ölümcül fırtına dalgası bekleniyor. Uzmanlar, “Su, yaşam ve mülkiyet için en büyük tehdit” uyarısında bulundu. 🌪 Kasırga Melissa Küba’yı Vuruyor: Ölümcül Fırtına Yaklaşıyor Kategori 5 seviyesine ulaşan Kasırga Melissa, Jamaika’da büyük yıkıma...
29.10.2025
0
12
AFAD verilerine göre Ege Denizi’nde, Didim açıklarında 3.9 büyüklüğünde deprem meydana geldi. Saat 09:38’de hissedilen sarsıntı çevre illerde de kısa süreli paniğe yol açtı. Aydın Didim Açıklarında 3.9 Büyüklüğünde Deprem! Ege Denizi Sallandı Afet ve Acil Durum Yönetimi Başkanlığı (AFAD), 29 Ekim 2025 sabahı saat 09:38:46‘da Ege Denizi’nde Didim (Aydın)...
29.10.2025
0
17
Kandilli Rasathanesi verilerine göre, Malatya’nın Hekimhan ilçesine bağlı Ballıkaya’da 3.6 büyüklüğünde bir deprem meydana geldi. Depremin derinliği 5.0 kilometre olarak ölçüldü. İşte ayrıntılar… Malatya Hekimhan’da 3.6 Büyüklüğünde Deprem Meydana Geldi Kandilli Rasathanesi, 22 Ekim 2025 tarihinde sabaha karşı 03:54:08 TSİ‘de Malatya’nın Hekimhan ilçesi Ballıkaya bölgesinde bir deprem meydana geldiğini duyurdu....
22.10.2025
0
12
Kandilli Rasathanesi, Adana Feke’de saat 14:39’da 4.0 büyüklüğünde deprem kaydetti. Depremin derinliği 5 km olarak ölçüldü, detaylar haberimizde. Kandilli Rasathanesi tarafından açıklanan verilere göre, Adana’nın Feke ilçesinde 19 Ekim 2025 günü saat 14:39’da 4.0 büyüklüğünde bir deprem meydana geldi. Depremin yerin 5 km derinliğinde gerçekleştiği bildirildi. Bölgede yaşayan vatandaşlar kısa...
19.10.2025
0
14
Kandilli Rasathanesi, 12 Ekim 2025 sabahı Suriye’de 3.8 büyüklüğünde bir deprem meydana geldiğini duyurdu. Depremin derinliği 22.4 kilometre olarak ölçüldü. İşte detaylar… Suriye’de 3.8 Büyüklüğünde Deprem Meydana Geldi Kandilli Rasathanesi’nin verilerine göre, 12 Ekim 2025 tarihinde saat 06:59:14’te (TSİ) Suriye’de 3.8 büyüklüğünde bir deprem kaydedildi. Depremin merkez üssü 35.8682° enleminde...
12.10.2025
0
15
Muğla’nın Köyceğiz ilçesinde 12 Ekim 2025 sabahı saat 06:40’ta 4.1 büyüklüğünde deprem meydana geldi. AFAD, depremin 12.04 km derinlikte kaydedildiğini bildirdi. İlk belirlemelere göre herhangi bir can veya mal kaybı yaşanmadı. Muğla Köyceğiz’de 4.1 Büyüklüğünde Deprem Meydana Geldi Afet ve Acil Durum Yönetimi Başkanlığı (AFAD) verilerine göre, Muğla’nın Köyceğiz ilçesi...
12.10.2025
0
13
10 Ekim 2025 saat 14:08’de Malatya Uluköy merkezli 3,5 büyüklüğünde deprem meydana geldi. Kandilli Rasathanesi verilerine göre depremin derinliği 1,9 km olarak ölçüldü. Malatya Uluköy’de 3,5 Büyüklüğünde Deprem! Kandilli Rasathanesi Duyurdu 📍 10 Ekim 2025 Cuma günü saat 14:08:59’da Malatya Uluköy merkezli 3,5 büyüklüğünde bir deprem kaydedildi. Kandilli Rasathanesi’nin verilerine...
10.10.2025
0
9
Kamu görevlilerine ait sahte kimliklerle e-imza alınarak usulsüz ehliyet ve sertifika düzenlendi.Ankara merkezli soruşturmada 22 şehirde eş zamanlı baskınlar yapıldı.125 kişi hakkında gözaltı kararı çıkarılırken, şu ana kadar 92 şüpheli yakalandı. Ankara Cumhuriyet Başsavcılığı koordinasyonunda yürütülen sahte kimlik ve e-imza soruşturması kapsamında büyük bir operasyon gerçekleştirildi. Ankara merkezli olarak 22...
07.10.2025
0
9
Jandarma ekipleri, 7 ilde eş zamanlı operasyonla 7 ayrı organize suç örgütünü çökertti. 78 şüpheliden 46’sı tutuklanırken, MASAK raporlarıyla tespit edilen 1 milyar 40 milyon TL’lik mal varlığına el konuldu. Suç örgütlerinin göçmen kaçakçılığından tefeciliğe, uyuşturucu ticaretinden usulsüz kazanca kadar birçok alanda faaliyet gösterdiği belirlendi. Türkiye genelinde 7 il merkezli...
07.10.2025
0
21
İçişleri Bakanlığı’ndan yapılan açıklamaya göre, Avukat Serdar Öktem bugün öğle saatlerinde İstanbul Şişli Büyükdere Caddesi’nde 15 Temmuz Şehitler Köprüsü istikametine doğru seyir halindeyken trafikte beklediği sırada silahlı saldırıya uğradı. Saldırı sonrası ağır yaralanan Öktem, kaldırıldığı hastanede tüm müdahalelere rağmen kurtarılamadı. Olayla bağlantısı olduğu değerlendirilen 5 şüpheli şahıs, güvenlik güçlerinin düzenlediği...
06.10.2025
0
25
🔴 İngiltere’nin Manchester kentinde bir sinagoga yönelik araçlı ve bıçaklı saldırıda 2 kişi hayatını kaybetti.🔴 Saldırgan polis tarafından vurularak öldürüldü, olay terör saldırısı olarak değerlendiriliyor.🔴 Yaralı sayısı 4’e ulaştı, sinagoglarda güvenlik önlemleri artırıldı. İngiltere’nin Manchester kentinde Crumpsall bölgesindeki Heaton Park Hebrew Congregation sinagogunun önünde dün akşam saatlerinde dehşet anları yaşandı....
02.10.2025
0
13
WhatsApp